Продається ділянка Келецька, Вінниця, Вінницька, Вишенька (№ 26-162-630)
Ціна: 235 000 $
Адреса: Келецька, Вінниця, Вінницька, Вишенька
Характеристики
| Ціна: | 235 000 $ |
|---|---|
| № об'єкта: | 26-162-630 |
| Призначення: | комерційне |
| Площа: | 8 сот |
Опис
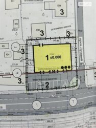
Продається земельна ділянка комерційного призначення по вул. Келецькій 8 соток
(6, 3 сотки у власності + 1, 7 сотки в оренді за межами червоної лінії). Цільове призначення 03.10 для будівництва та обслуговування адміністративних будинків і офісних будівель. Ділянка з фасадним виходом на Келецьку, розчищена і повністю готова до будівництва. Всі комунікації підведені. Є містобудівний розрахунок, готовий до погодження. Червона лінія зміщена згідно нового генплану міста відображено на фото 200-ки. Приватна власність, документи в порядку, готова до угоди. Ріелторів прохання не турбувати.












