Продається будинок Вінницька, Вінниця, Пирогово, пров.Гідротехнічний (№ 22-397-220)
Ціна: 99 000 $
Характеристики
| Ціна: | 99 000 $ |
|---|---|
| № об'єкта: | 22-397-220 |
| Поверхів: | 2 |
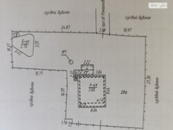
| Площа будинку: | 182 м2 |
| Ділянка: | 8 сот |
| площадь кухни: | |
| количество комнат: | |
| АГВ: | - |
| на два входа, на дві родини: | - |
Адреса: Вінницька, Вінниця, Пирогово, пров.Гідротехнічний
Пропонується на продаж будинок, що знаходиться у Пирогово Дачі. Дуже зручне розташування, близько озеро. Велика рівна ділянка 8 соток, загальна площа будинку 182.8 м.кв. Зелена, засаджена територія, є кіпариси, бузок. На ділянці ростуть абрикоси та персики, вишні та черешні, груша та слива, різні сорти яблук, ожина та виноград. Є великий гараж 43, 8 м.кв., великий підвал 20 м.кв.. Будинок двоповерховий, побудований в півтори цегли з повітряною подушкою. Просторі три кімнати, є камін, пічь, електричне опалення, котел, газ заведений на територію, криниця, водний насос. Окрамо трикутна будівля - повноцінна сауна. Є велика веранда та тераса на другому поверсі.









